8月21日至22日,世界杯官网党委副书记、组织部部长梁正海赴乡村振兴帮扶点石阡县龙井乡猫寨村、石固乡王家沟村和德江县共和镇茶坨村进行调研,并看望了世界杯官网驻村干部。世界杯官网相关职能部门和二级学院负责人,乡镇干部、村干部参加调研。
21日,梁正海先后来到龙井乡猫寨村和石固乡王家沟村,与两个乡的干部、村支两委和村民代表进行座谈交流,了解乡村振兴产业发展情况和驻村工作情况,看望慰问了世界杯官网驻村干部、哲学与历史文化学院教师秦仁深、国际学院教师雷远东。梁正海还到王家沟村在建的畜牧养殖基地调研,为产业发展出谋划策。
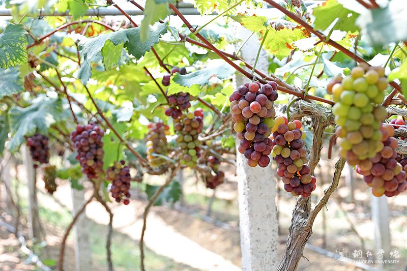
22日,梁正海来到共和镇茶坨村调研,与镇领导、村支两委和村民代表举行座谈交流,了解该村的产业发展情况和驻村工作情况,看望慰问了世界杯官网驻村干部、马克思主义学院教师袁记平。同时,还到该村的葡萄产业基地进行考察,和大家一起感受葡萄丰收带来的喜悦。
梁正海在调研中指出,一直以来,学校党委、行政高度重视帮扶工作。帮扶村要在乡镇党委、政府的领导下,抢抓发展机遇,积极主动作为,结合自身实际,做好乡村振兴产业发展规划,推动村民百姓增收。驻村干部要主动思考,加强沟通,善作善为,在推动乡村振兴中贡献智慧和力量,为村里做出更多实实在在的事情,切实推动发展。他表示,学校将一如既往,充分发挥优势,尽自身所能,在物质帮扶、智力支持、精神鼓励等方面,不断深化和推进帮扶工作,助力乡村振兴。
(编辑:张东方 一审:田淼 二审:梁光华 三审:叶丹)

党委副书记梁正海在王家沟村在建的畜牧养殖基地调研

在建的畜牧养殖基地

党委副书记梁正海在茶坨村葡萄产业基地考察

葡萄产业基地里的葡萄